Support small-lot homes in South Richmond!
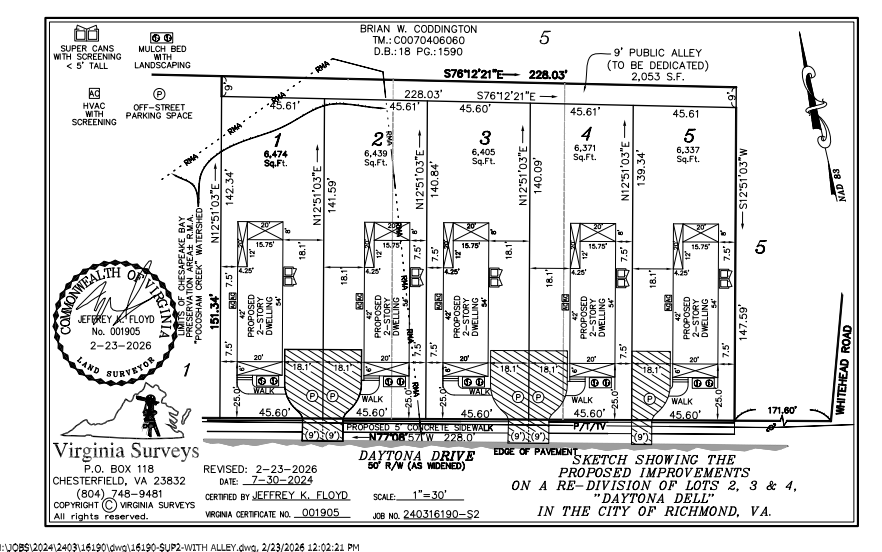
5 new homes are proposed off Daytona Drive in the Worthington neighborhood of South Richmond — exactly the kind of modest, infill development Richmond needs. The plan fits Richmond 300 and adds attainable homes within walking distance to G.H. Reid Elementary School.
Better yet, the project has a letter for support from the city's Office of Housing & Community Development affirming eligibility for Affordable Housing Trust Fund funding, given that a portion of units will be reserved for residents with incomes at or below 80% area median income.

No big deal, right? Not for some local NIMBYs who have already battered this down from an original 8 homes on smaller lots. Here's a sampling -
- 'Approving this change opens up concerns about excessive construction..'
- 'The vast majority of surrounding lots are larger.'
- 'The children need sidewalks, not houses.'
- 'Noise pollution is ever-present in this area.'
- 'If the current residents of Daytona Dr and Whitehead Rd had wanted to live in a highly populated/dense area of the city, they would have sought out homes there.'
Let’s make sure Council hears from residents who want to welcome new neighbors — not wall them out.
It would be most effective at this stage for 9th district residents to send letters directly to their councilperson, Nicole Jones. The 9th District covers Hioaks, Beaufont, and Westover neighborhoods north of Midlothian Turnpike - Warwick, Worthington, Swanson, Pocoshock, Elkhardt between the Tnpk and Hull Street - and then Brookhaven Farms, Fawnbrook, Piney Knolls, South Garden, and McGuire Manor south of Hull Street. Here's a map.
This letter campaign is being sent to 9th District council contacts and to the PDZ staff only. If you live outside the 9th district, please contact your councilperson separately if you want to express support.
